조황관리HOME / 조황관리 / 상세정보

제목 : [아라호] 2025년 11월 4일 참돔타이리바 조황
등록일 : 2025-11-04



*일시 : 2025년 11월 4일(화요일)
*장소 : 회변항 아라호
*물때 : 6물
*기상 : 맑음

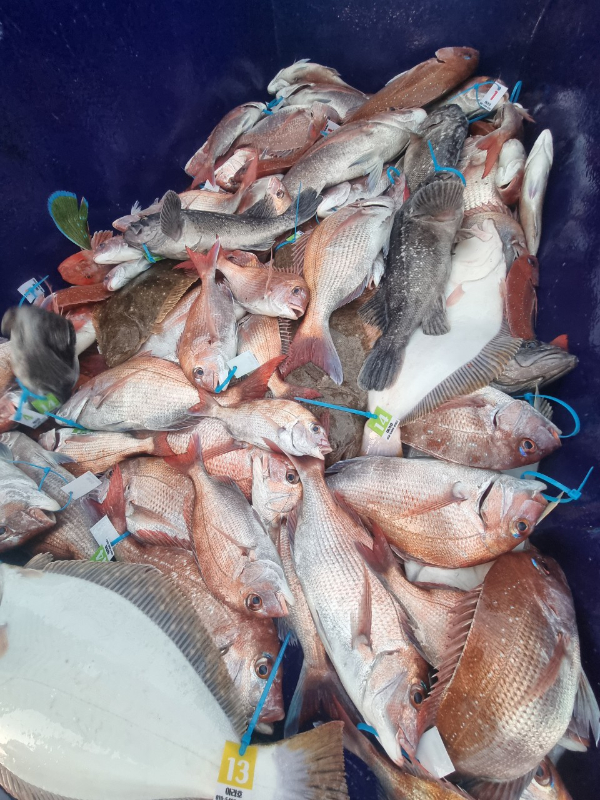
안녕하세요 오천아라호입니다????

금일은 두족류에서 잠시 벗어나
참돔 타이라바 출조를 다녀왔습니다!

참돔들이 빠지지 않기만을 바라며 도착한 포인트..비추질 않습니다..

이곳저곳 돌아다니면서 확인해보다가 발견한 곳에서 하루작업 마무리했네요!

오랜만에 즐겁게 꼬리고기 손맛보고 기분좋게 입항했습니다!

아라호선단은 조사님들과 즐겁고 안전한 낚시가 되기위해 항상 최선을 다하겠습니다!
조황사진을 마지막으로 즐거운 조행기를 마치겠습니다! 감사합니다!

BandPhoto_2025_11_04_21_35_35_1.jpg


BandPhoto_2025_11_04_21_35_35_2.jpg


BandPhoto_2025_11_04_21_35_35_3.jpg


BandPhoto_2025_11_04_21_35_35_4.jpg

 

오천아라호선단의 즐거운 조행기는 네이버밴드"오천아라호"에
오셔서 확인해주세요~  :-)




오천 아라호 예약안내


* 예약문의      : 010-5409-9262 (아라호)
               ​: 010-9236-6125 (아라2호)

* 오시는길      : 충남 보령시 천북면 하학로 774 아라순풍낚시


* BAND        :https://band.us/n/a6a7A8I0H4w4X
 (밴드명 : 오천 아라호)


* 인스타그램   :
https://www.instagram.com/fleet_araho

Top